武汉经开区发布两则征收公告!
发布于:2023-5-26 14:36 有661人参与
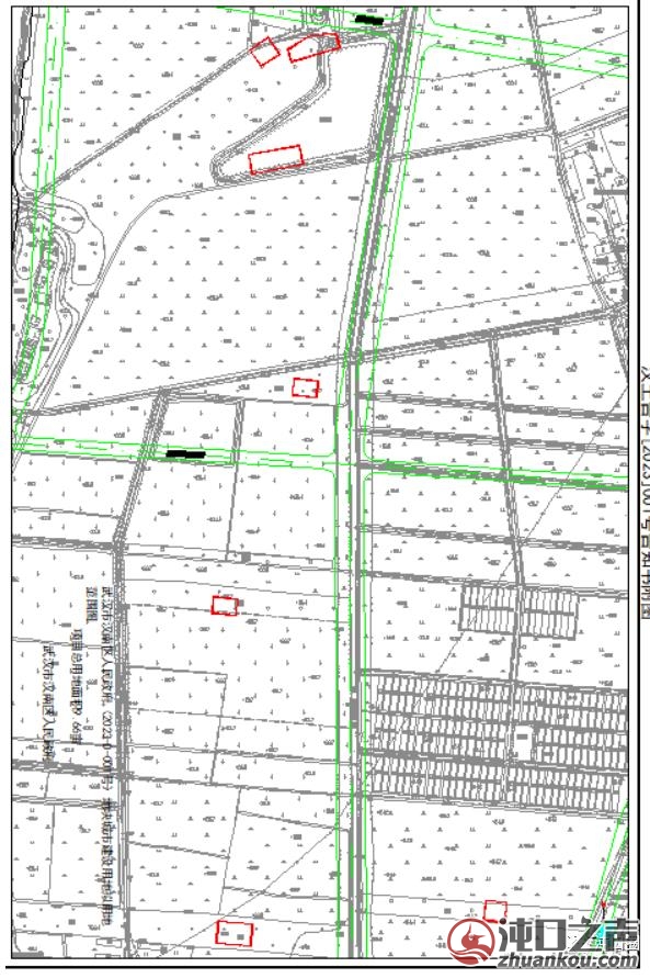
土地征收预公告 汉土告字[2023]001号 汉南区邓南街道新沟村民委员会、村民:为规范征地程序,加强征地管理,切实维护被征地者的合法权益,根据《中华人民共和国土地管理法》、《土地管理法实施条例》等法律、法规和有关规定,现将汉南区人民政府(2023-D-007号)地块城市建设用地拟征地有关事项告知如下: 一、征收土地范围:汉南区邓南街道新沟村(详见附图)。
二、征收目的:政府为了公共利益的需要,该项目用地符合土地管理法第四十五条第(五)项规定,用地符合国民经济和社会发展规划、土地利用总体规划、城乡规划和专项规划。属于基础设施类建设活动,因我区社会经济发展的需要,确需对红线范围内集体土地实施征收。 三、征收土地现状:总面积0.6442公顷。(详见勘界报告) 四、本征收土地启动公告发布后,任何单位和个人不得在拟征地范围内抢栽、抢种、抢建;违反规定实施的,不予补偿安置。 五、本土地征收预公告下发后,乡镇人民政府(街道办事处)将组织对拟征收土地现状进行调查,内容包括:拟征收土地的权属、地类、面积,以及农村村民住宅、其他地上附着物和青鱼苗等的权属、种类、数量等。请被征地的经济组织、相关权利人予以配合,并在《拟征收土地现状调查结果确认表》上签字或盖章予以确认。 武汉市汉南区人民政府 2023年5月18日 土地征收预公告 汉土告字[2023]002号 汉南区邓南街道新沟村民委员会、村民:为规范征地程序,加强征地管理,切实维护被征地者的合法权益,根据《中华人民共和国土地管理法》、《土地管理法实施条例》等法律、法规和有关规定,现将汉南区人民政府(2023-D-006号)地块城市建设用地拟征地有关事项告知如下: 一、征收土地范围:汉南区邓南街道新沟村(详见附图)。
二、征收目的:政府为了公共利益的需要,该项目用地符合土地管理法第四十五条第(五)项规定,用地符合国民经济和社会发展规划、土地利用总体规划、城乡规划和专项规划。属于基础设施类建设活动,因我区社会经济发展的需要,确需对红线范围内集体土地实施征收。 三、征收土地现状:总面积15.1460公顷。(详见勘界报告) 四、本征收土地启动公告发布后,任何单位和个人不得在拟征地范围内抢栽、抢种、抢建;违反规定实施的,不予补偿安置。 五、本土地征收预公告下发后,乡镇人民政府(街道办事处)将组织对拟征收土地现状进行调查,内容包括:拟征收土地的权属、地类、面积,以及农村村民住宅、其他地上附着物和青鱼苗等的权属、种类、数量等。请被征地的经济组织、相关权利人予以配合,并在《拟征收土地现状调查结果确认表》上签字或盖章予以确认。 武汉市汉南区人民政府 2023年5月18日 |
上一篇:武汉经开区|智能网联和电动汽车下一篇:沌口北太子湖公园连通项目年底开

























