业主投诉|关于汉阳万科未来中心商业(虫洞公园后续)!
发布于:2022-12-2 17:20 有1055人参与
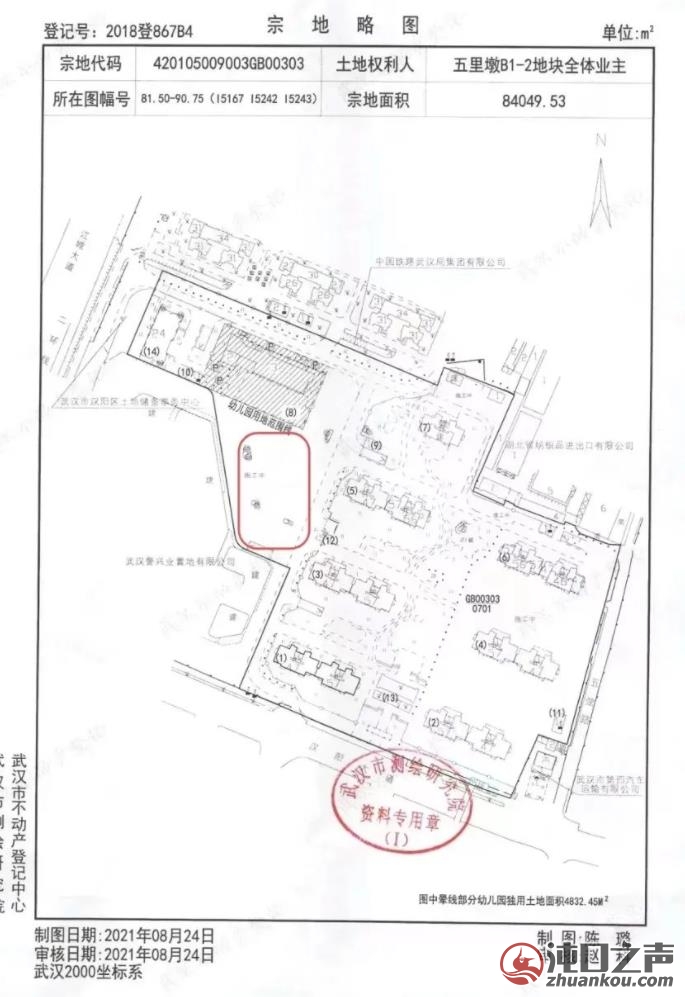
武汉万科未来中心商场强占武汉市汉阳区万科金域国际小区住宅近1万平方绿化用地,私设围栏,用于出租、引流、广告等 ,该小区属超高层建筑,人口密度大容积率极高,近万平绿地被强抢至使小区活动空间严重不足,毫无品质可言,严重侵犯小区业权益,望上级领导主持公道还地于民 留言附件:
官方回复回复单位: 汉阳区 2022-12-02 11:16:13 -尊敬的先生: 您好!您向城市留言板城市留言板反映的诉求收到,现将办理情况回复如下: 接到您反映的问题后,我区五里墩街工作人员立即核实详情,对万科进行问询,并与相关职能部门召开工作联席会议研究。 综合相关方面意见,现对居民投诉问题回复如下: 1、关于虫洞公园土地的权属及规划问题: 虫洞公园地块土地权属属于万科金域国际B1-2地块(含住宅、幼儿园等相关地块)全体业主共有,为开放性绿地广场,其规划审批、验收均符合相关政策要求。 2、万科金域国际B1-2地块内儿童游乐设施是否属于违法建设问题: 该地块设置的儿童游乐设施符合《湖北省自然资源厅办公室关于建立建设工程规划许可豁免清单制度的通知》(鄂自然资办函【2021】23号)规定,儿童游乐设施无需办理工程规划许可,因此万科金域国际B1-2地块内儿童游乐设施不属于违法建设。 3、关于虫洞公园是否侵占业主公摊面积问题: 该处虫洞公园土地位于宗地红线范围内,属全体小区业主共有。小区内道路、绿化等部位均不是房屋,不计入建筑面积,且经与万科项目方核实,虫洞公园未计入业主公摊面积,因此虫洞公园不存在侵占业主公摊面积的问题。 4、关于虫洞公园是否有侵占小区物业费的问题: 根据万科金域国际(汉阳五里墩B1地块)前期物业服务合同约定,虫洞公园所在的万科未来中心商业区和万科金域国际住宅区属同一个物业管理区域,由一个物业公司进行管理。因此不存在虫洞公园侵占业主物业服务费问题。 10月16日下午3时,五里墩街召开万科金域国际业主沟通会,街道、社区、万科方及业主代表参会。会上就万科虫洞公园相关问题,万科方及业主代表就各自诉求展开沟通,为下步问题解决奠定基础。 待疫情缓解后,街道将积极搭建平台,再次召开居民协商会,组织相关各方,依法依规,妥善商讨解决方案。 12月1日,五里墩街工作人员通过电话84680130向您反馈办理情况,您已知晓办理结果。 感谢您的信任与支持,希望您一如既往支持和监督我们的工作!- |
上一篇:四新两小区出现混管异常!下一篇:市发改委关于汉阳晴川桥等10座




















